Save
Ask
Tour
Hide
$3,500,000
76 Days On Site
107 Fairview RoadThousand Oaks, CA 91362
For Sale|Land|Active
Subdivision:
Old Town-523
County:
Ventura


Save
Ask
Tour
Hide
Mortgage Calculator
Monthly Payment (Est.)
$15,968Calculator powered by Showcase IDX, a Constellation1 Company. Copyright ©2026 Information is deemed reliable but not guaranteed.
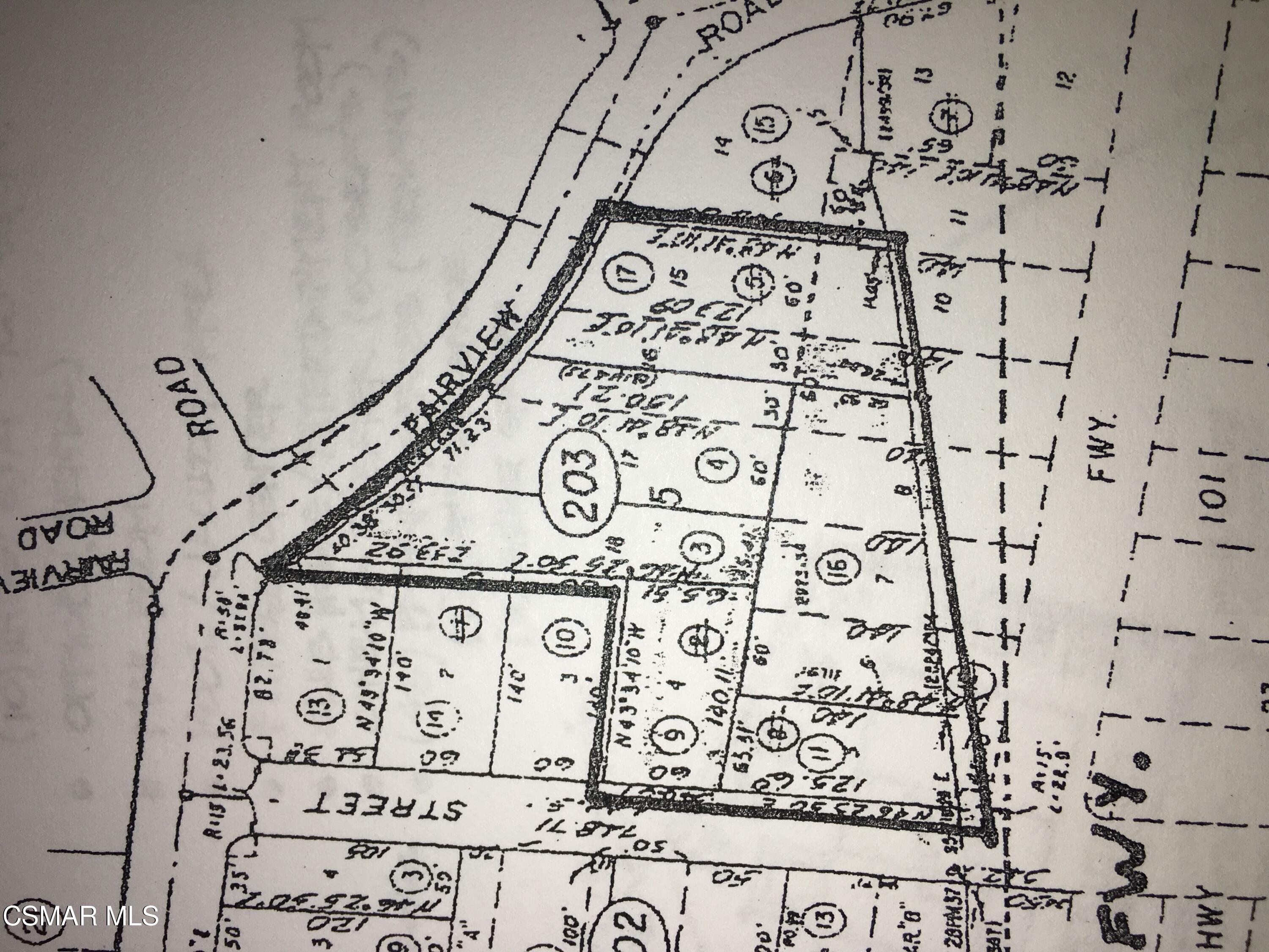
Great opportunity for the right buyer to secure a large parcel within the City limets of Thousand Oaks. Buyer could lease six units while getting plans approved for development or improve/ expand the existing homes. Prime development opportunity, Five contiguous parcels running from Fairview to Yucca Street, see plat map. Presently there are six income producing units. City of Thousand Oaks has expressed interest in seeing the parcels developed. APNs: 671-0-203-165, 671-0-203-030, 671-0-203-040, 671-0-203-090, 671-0-203-175. Buy now and enjoy rents while getting approvals. Seller may consider terms.
Save
Ask
Tour
Hide
Listing Snapshot
Price
$3,500,000
Days On Site
76 Days
Bedrooms
N/A
Inside Area (SqFt)
N/A
Total Baths
N/A
Full Baths
N/A
Partial Baths
N/A
Lot Size
1.71 Acres
Year Built
N/A
MLS® Number
226000039
Status
Active
Property Tax
N/A
HOA/Condo/Coop Fees
N/A
Sq Ft Source
N/A
Friends & Family
Recent Activity
| 3 months ago | Listing first seen on site | |
| 3 months ago | Listing updated with changes from the MLS® |
General Features
Acres
1.71
Cross Street
Hampshire
Disclosures
Concurrent CloseProperty As Is
Sewer
Unknown
Utilities
Electricity AvailableNatural Gas AvailablePhone Available
Zoning
residential
Save
Ask
Tour
Hide
Community Features
Financing Terms Available
Cash
MLS Area
TOE - Thousand Oaks East
School District
Conejo Valley Unified School District
Schools
School District
Conejo Valley Unified School District
Elementary School
Unknown
Middle School
Unknown
High School
Unknown
Listing courtesy of Peter Greer of Vintage Real Estate Services Inc.
The information being provided by CSMAR is for the visitor's personal, non-commercial use and may not be used for any purpose other than to identify prospective properties a visitor may be interested in purchasing or leasing. Information relating to properties referenced on this web site may originate from the Internet Data Exchange (IDX) program of CSMAR. This web site may reference real estate listing(s) held by a brokerage firm other than the broker and/or agent who owns this web site. Any information originating from CSMAR, relating to a property, regardless of source, including but not limited to square footages and lot sizes, is deemed reliable but not guaranteed and should be personally verified through personal inspection by and/or with the appropriate professionals. Listing data originating from CSMAR is copyrighted by CSMAR and is protected by all applicable copyright laws. Any dissemination of this information is in violation of copyright laws and is strictly prohibited.
The information being provided by CSMAR is for the visitor's personal, non-commercial use and may not be used for any purpose other than to identify prospective properties a visitor may be interested in purchasing or leasing. Information relating to properties referenced on this web site may originate from the Internet Data Exchange (IDX) program of CSMAR. This web site may reference real estate listing(s) held by a brokerage firm other than the broker and/or agent who owns this web site. Any information originating from CSMAR, relating to a property, regardless of source, including but not limited to square footages and lot sizes, is deemed reliable but not guaranteed and should be personally verified through personal inspection by and/or with the appropriate professionals. Listing data originating from CSMAR is copyrighted by CSMAR and is protected by all applicable copyright laws. Any dissemination of this information is in violation of copyright laws and is strictly prohibited.
Neighborhood & Commute
Source: Walkscore
Save
Ask
Tour
Hide

Did you know? You can invite friends and family to your search. They can join your search, rate and discuss listings with you.